home    |   terreblanche boerdery    |     sa boerperd    |    our horses    |       contact 

 

Grootman 1k.JPG (38395 bytes)

Grootman 2k.JPG (41563 bytes)

Grootman 3k.JPG (34096 bytes)

Click on thumbnails for original size

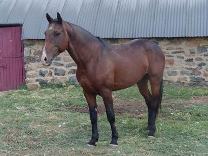
LOT 3

ROEMRYK GROOTMAN

Stallion

 

  • Height: 15 hh

  • Colour: Bright Bay

  • Combination of Lang Carel and A2 Bloodlines

  • Ideal Stallion to correct conformation faults

 

 

 

 

 

 

Pedigree

roemryk grootman stam.jpg (18807 bytes)

Click on thumbnail for original size

 

 

next horse

Terreblanche Boerdery | Tweespruit, Edenville | Roemryk Stud